ゴールデンウィークを終えて
ビギナーさんも釣りに行く機会が増える連休。
触れておきたい話題が出来たので掲載させていただきます。

唐突ですが、
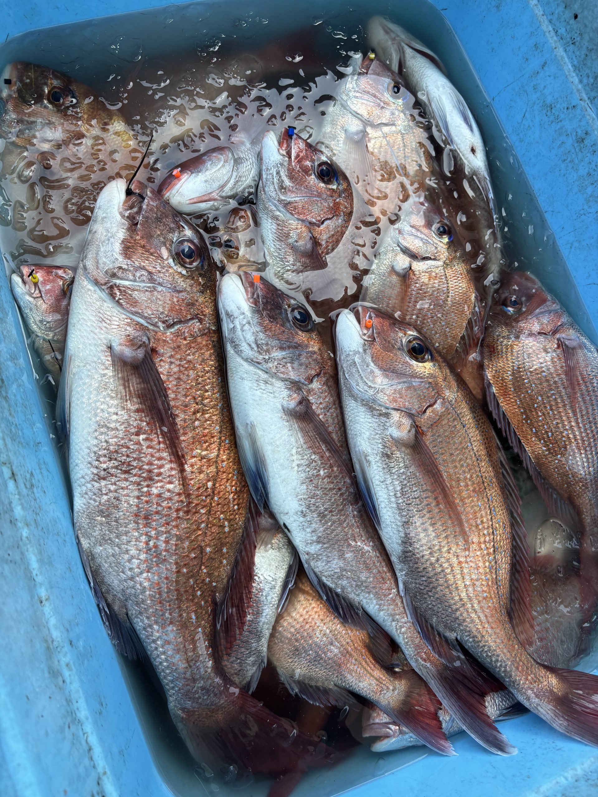
当船では具体的な数など釣果情報を明記しておりません。
掲載しても画像のような曖昧な感じ。これはチャンスありますよー。程度のメッセージのつもりです。
なぜか?
前日何匹釣れたのか?気になります?
そのお気持ちもわかります。
私も釣果を明記した方が集客し易いとは思います。
が、
思い通りに釣れるか?
思い通りに楽しめるか?
それは、あなた次第です。
理由は色々とあるのですが、お客様に向けた理由のひとつとしては、
釣果情報を気にしすぎると、
昨日までは良かったけど今日はダメな日だ。
他の人ばかり釣れて面白くない。
とか、ネガティブな思考に陥ります。
そんな事よりも目の前の海で、考えて、工夫して、挑戦する。
集中を切らさず半日をやり切っていただきたいと思っています。
なので、釣れているから では無くて、
釣りがしたい方にお越し頂きたいのです。
安定して5匹釣れる方が10人いたら50匹
目指せ1匹の方が10人なら10匹
そんなもんです。
うまくいかなくても焦らないでください。
もしも釣果情報を気にしすぎていたら、皆さんもたとえ5匹釣れても10匹釣れた人が他にいたら悔しくなると思います。
でもそれは競技の世界や、熟練した人達の世界の話です。
ビギナーさんであれば、頑張ってキャッチできた一匹に喜んで頂ける方が価値があると考えています。
結果を求めすぎる事なかれ
いきなり思い通りに釣れる訳がありません。
もちろん釣りなので、釣果を求めて頑張る訳ですが、
釣果を得る為に練習してタックルの扱いを磨いたり、魚を誘う為の引き出しを増やしていくのです。
コツコツと上達を楽しむのがルアーフィッシングというものです。
なので、何ネクタイですか?何色ですか?巻き速度はどれぐらいですか?何回巻いたら良いですか?
答えばかり求めずに考えたり試したりを楽しんでください。考える事で集中力を保つというのが何よりも大切だと思います。
どうか周りに惑わされて仕掛けの交換ばかりしているような浅い釣りはしないでください。
もし、特別な傾向があれば都度アナウンスしますのでご安心を。
一時間やってあたらない。諦める。
そんな悲しい方が増えないように。
まずは身体の扱いと道具の扱いに慣れるところからひとつずつ積み上げていきましょう。
リピートしてくださっている方に、アタリの取り方やファイトのノウハウなどを横から口出しする事がありますが、それは道具の扱いに慣れる事で総合的な上達に繋がるからです。
タイラバには四季がある
タイラバの魅力のひとつ、四季を通じて変化するフィールドや魚の反応の違いを見ることが出来ます。

それがわかるようになるまで、何年もかかると思います。なんとなく狙い方がわかってくるまでに更に年月がかかると思います。
でも、それまでに良い釣りができる事もあるでしょうし、振り返って見た時に、随分上達したなぁと、思えるようになっているはずです。
長く楽しめるのが真鯛の良いところです。
タイラバにはタイミングがある
明石海峡には時間通りに潮の変化が訪れます。
日によって潮の効き具合は異なりますが、
潮のはじまり
潮の緩み出し
潮のゆるみ
特にこのような3つの変化はチャンスが増えます。
それらのタイミングで気持ちを切り替えてトライする事を意識してください。
潮のはじまりがダメでも、その後にはまた緩みが来ます。
潮止まりまでがダメでも、転流でまた次の流れが来ます。
その変化を追いかけていると言う事を頭の片隅に置いておいてください。
だからこそ6時間を超える時間が用意されているのです。
そして、上達を目指すならば最低限、この潮流情報は事前に知っておいてください。
あたらなくても、次のタイミング!
それがダメでも、また次のタイミング!!
それを最後まで追いかけて気持ち良くやり切った!
と言える楽しみ方を意識してみて下さい👍










